- 1.200 kmcest
- 33.500prometnih znakov
- 18.000parkirnih mest
- 4.641prehodov za pešce
- 275semaforiziranih križišč
- 2.305semaforjev
Javno podjetje Ljubljanska parkirišča in tržnice (LPT) izvaja gospodarsko javno službo urejanja in čiščenja javnih tržnic in javnih parkirnih površin ter službo vzdrževanja občinskih cest, ki vključuje tudi redno vzdrževanje prometne signalizacije, urejanje svetlobnih prometnih znakov in svetlobnih označb ter redno vzdrževanje cestnih naprav – vse to na območju Mestne občine Ljubljana.
Z naraščanjem dnevne migracije in števila prebivalcev v Ljubljani se spreminja tudi obseg dejavnosti LPT, predvsem pa standardi in s tem zahteve družbi, da zagotavlja, zanesljivo, varno, okolju prijazno in ekonomsko učinkovito izvajanje gospodarskih javnih služb in ostalih dejavnosti. Za učinkovito in gospodarno opravljanje svojih dejavnosti se je podjetje LPT leta 2009 odločilo za razvoj in vzpostavitev prostorskega informacijskega sistema, saj njihove storitve temeljijo na prostorskih podatkih. Te pa je treba upravljati, interpretirati in vzdrževati. K izdelavi orodij za upravljanje in vzdrževanje podatkov cestno-prometne infrastrukture je LPT k sodelovanju pritegnil izvajalca LGB.
Prostorski podatki, s katerimi upravlja LPT, so naslednjih tipov in skupin:
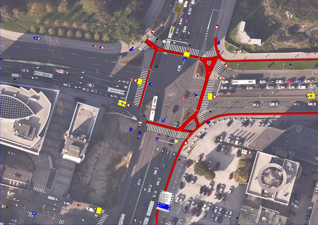
- semaforizacija: stojna mesta, signalodajalci, portali, table, svetilke, zanke in tipke za slepe
- prometna signalizacija: prometni znaki, talne označbe, usmerjevalne table
- urbana oprema: urbanomati, LED prikazovalniki, BicikeLJ, števci kolesarjev
- parkirna politika: parkirišča in parkirne hiše, območja parkirišč, parkirne cone, parkomati, parkirna mesta, rezervirana parkirna mesta za invalide, moto, električna vozila, car sharing, taxi in namenska rezervacija, kolesarska stojala
- omejen promet: območja za pešce, cone 30, cone umirjenega prometa, cone omejenega prometa, potopni stebrički, zapornice in pristopne kontrole, kamere in snemalniki, križišča in video nadzor le teh
- oprema parkirišč: območje, blagajne, pristopne kontrole, zapornice, video nadzor, kiosk, prikazovalniki zasedenosti
- optična infrastruktura: optični kabli, optične spojke, jaški in cevna kanalizacija, WiFi antene, WiFi vozlišča, WiFi pokritost
S sodelovanjem podjetij LPT in LGB je nastal zmogljiv prostorski informacijski sistem, ki naročniku omogoča vrsto koristnih funkcionalnosti, in sicer:
- preprost in učinkovit vpogled v prostorske podatke, ki so shranjeni v centralni podatkovni bazi
- vodenje, urejanje in grafični prikaz podatkov vertikalne prometne signalizacije
- vodenje, urejanje in grafični prikaz podatkov semaforizacije
- vodenje sistema usmerjevalnega označevanja MOLIS
- vodenje, urejanje in grafični prikaz talnih označb
Posebna prednost prostorskega informacijskega sistema LPT je funkcionalnost za vodenje in spremljanje sprememb prometne signalizacije in talnih označb skozi čas. Podatkovni model namreč uporabniku omogoča tri različne prikaze podatkov prometne signalizacije in talnih označb glede na čas, in sicer:
- prikaz stanja na izbrani datum v preteklosti (t.i. kataster zgodovine)
- prikaz trenutnega (obstoječega) stanja (t.i. »živi« kataster)
- prikaz stanja v prihodnosti, saj sistem omogoča tudi vnos podatkov iz prostorskih načrtov in bodočih cestno-prometnih ureditev
T.i. kataster zgodovine LPT-ju omogoča bolj učinkovito pridobivanje podatkov v primerih sodnih in policijskih poizvedovanj za točno določen datum, ko se je zgodila npr. prometna nesreča in se razrešujejo vprašanja o stanju prometnih znakov in talnih označb na izbrani lokaciji.
Posodabljanje cestnih in drugih infrastrukturnih objektov v Ljubljani ter pogoste spremembe v rabi prostora terjajo tudi posodobitve evidenc prostorskih podatkov, s katerimi upravlja prostorski informacijski sistem LPT. Da bi evidence odražale resnično stanje, ki je v naravi, je potrebno redno posodabljanje in vzdrževanje podatkov. Za pridobivanje kakovostnih prostorskih podatkov LGB naročniku LPT pomaga z različnimi tehnologijami množičnega zajema, in sicer:
- geodetske meritve: pridobivanje prostorskih podatkov na osnovi terenske izmere klasične geodezije in GNSS-meritev
- daljinsko zaznavanje: pridobivanje prostorskih podatkov na osnovi satelitskih, letalskih ali radarskih posnetkov zemeljskega površja
- fotogrametrija: pridobivanje prostorskih podatkov na osnovi stereo-parov, ki so pridobljeni iz aerofotografij ali video posnetkov zemeljskega površja
- digitalizacija analognih podatkovnih virov: skeniranje, vektorizacija
- kombiniran zajem: pridobivanje prostorskih podatkov na osnovi terenske izmere v kombinaciji z drugimi tehnologijami zajema podatkov
- drugi viri: nakup ali pridobitev prostorskih podatkov iz javnih evidenc ali podatkovnih baz drugih virov
Prostorski informacijski sistem LPT danes vsebuje optimalno arhitekturo baze podatkov, ki mu omogoča rast in prilagajanje novim potrebam ter zahtevam sodobnega časa.
Sodelovanje LGB in naročnika LPT se po vzpostavitvi prostorskega informacijskega sistema še danes uspešno nadaljuje. LGB periodično zajema in ažurira prostorske podatke ter posodablja spletno, namizno in mobilno aplikacijo ter njeno povezljivost s poslovnim informacijskim sistemom naročnika.





